MundoBahamas
17 notas
Mundo
MundoFallecen dos personas de cruceros Carnival en un resort privado en las Bahamas
·3 min
Video: Miembro de la tripulación del crucero Icon of the Seas muere al caer del barco en Bahamas
·3 min
MéxicoVideo: Mexicana Camila Jaber desciende 87 metros y rompe récord en apnea durante competencia en Bahamas
·3 min
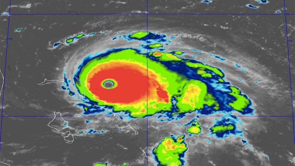
Medio AmbienteTormenta tropical Oscar se convierte en huracán categoría 1; se encuentra al sureste de las Bahamas en el Atlántico
·2 min
ViralVideo: Cangrejo le roba una cámara a un buceador en Bahamas
·1 min
MundoTiburón ataca a niño en hotel de las Bahamas
·1 min
MundoTurista de EU muere tras ataque de tiburón en las Bahamas
·1 min
MundoDetienen en Bahamas al fundador de la plataforma de criptomonedas FTX
·3 min
ViralEncuentran al menos a 17 migrantes haitianos muertos en la costa de las Bahamas
·2 min
TurismoMaravíllate con la sorprendente y polémica 'Playa de los Cerditos'
·3 min
EspectáculosInterpol busca en 195 países a Inés Gómez Mont y Álvarez Puga
·2 min
CoronavirusPor Covid-19, Cuba restringirá llegada de viajeros de México desde el 1 de enero
ViralVideo: Cangrejos salen de la maleta de un pasajero en un aeropuerto
MundoDorian ya es huracán categoría 5, llegaría a Florida mañana
Ecología¿Qué es el sargazo y cómo combatirlo?
Mundo