
Tormenta Beryl se convierte en huracán en el Atlántico
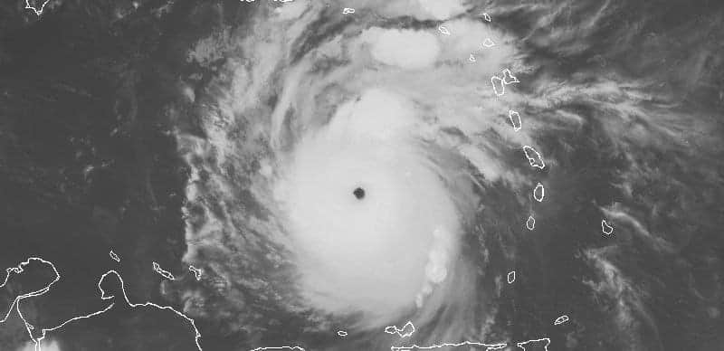
La tormenta tropical Beryl se convirtió la madrugada de este viernes en el primer huracán de la temporada del Atlántico y se dirige a las Antillas Menores en el Caribe, informó el Centro Nacional de Huracanes (CNH) de Estados Unidos.
Q
Quinta Fuerza - Tania Karina Silva Fernández·
415Compartir
La tormenta tropical Beryl se convirtió la madrugada de este viernes en el primer huracán de la temporada del Atlántico y se dirige a las Antillas Menores en el Caribe, informó el Centro Nacional de Huracanes (CNH) de Estados Unidos.
Beryl se convierte en huracán
Beryl alcanzó vientos máximos de 75 millas por hora (75 kilómetros por hora) y se ubicaba esta mañana a mil 830 kilómetros al este de las Antillas Menores. El huracán se desplaza en dirección oeste hacia esa cadena de islas que marcan el perímetro oriental del Caribe. Se pronostica que Beryl se debilite rápidamente la tarde del sábado y se convierta en tormenta tropical o se debilite a una fuerte onda tropical cerca de las Antillas Menores la tarde del domingo o el lunes próximo. Los vientos huracanados se extienden a solo 10 millas (16 kilómetros) del centro, lo que hace que la tormenta sea pequeña y compacta. También te puede interesar: Fabio se debilita a tormenta tropical, se aleja de costas mexicanas Beryl se convirtió el jueves en la segunda tormenta de la temporada, luego de la tormenta subtropical Alberto que se formó el pasado 25 de mayo en el Golfo de México, siete días antes del inicio oficial de la temporada ciclónica. Alberto azotó el noroeste de Florida y dejó dos muertes a su paso por Carolina del Norte. La Administración Nacional Oceanográfica y Atmosférica (NOAA) de Estados Unidos pronosticó una temporada promedio con entre 10 y 16 tormentas con la formación de cinco a nueve huracanes y de una a cuatro mayores o categoría 3 en la escala Saffir-Simpson, de un máximo de 5 niveles. Con información de Notimex¿Qué te pareció?


