
"Beryl" se ha convertido en un catastrófico huracán categoría 5
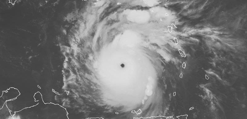
El huracán Beryl ya es un histórico fenómeno que ha alcanzado la categoría 5 con vientos sostenidos de 260 kilómetros por hora.
El huracán Beryl ya es un histórico fenómeno que ha alcanzado la categoría 5 con vientos sostenidos de 260 kilómetros por hora. Consideran que es un verdadero monstruo de la naturaleza por salirse de todos los pronósticos.
Ante esto, el Centro Nacional de Huracanes de Estados Unidos anunció en la noche de este lunes que el huracán Beryl se convirtió en categoría 5, lo que es considerado potencialmente catastrófico en el Caribe Oriental.
Su centro se localiza a 825 kilómetros al este-sureste de Isla Beata, República Dominicana, y a dos mil 460 kilómetros al este-sureste de Cancún, Quintana Roo. Presenta vientos máximos sostenidos de 260 km/h, rachas de 315 km/h y desplazamiento hacia el oeste-noroeste a 35 km/h. Por el momento no representa peligro para el territorio mexicano.
Asimismo, de acuerdo con el Centro Nacional de de Huracanes (NHC, por sus siglas en inglés) alertó que el fenómeno podría trae vientos potencialmente mortales en zonas del mar Caribe, principalmente Jamaica.
Tal vez te gustaría leer: VIDEO: Huracán Beryl provoca el hundimiento del icónico crucero de fiestas Jolly Roger en Barbados

También, según el NHC, dicho fenómeno además de poder provocar inundaciones repentinas en gran parte de Jamaica, pidió a las Islas Caimán, Belice, la Península de Yucatán, el suroeste del Golfo de México y el resto del noroeste del Caribe estar alertas por el progreso de Beryl.
Pues durante su avance y evolución se podría requerir alertas y advertencias para la población de esas naciones durante el martes o miércoles de esta semana.
Por otra parte, también pronostican tormenta tropical para la costa sur de República Dominicana y la costa sur de Haití.
Con información de: Twitter
¿Qué te pareció?
Etiquetas


