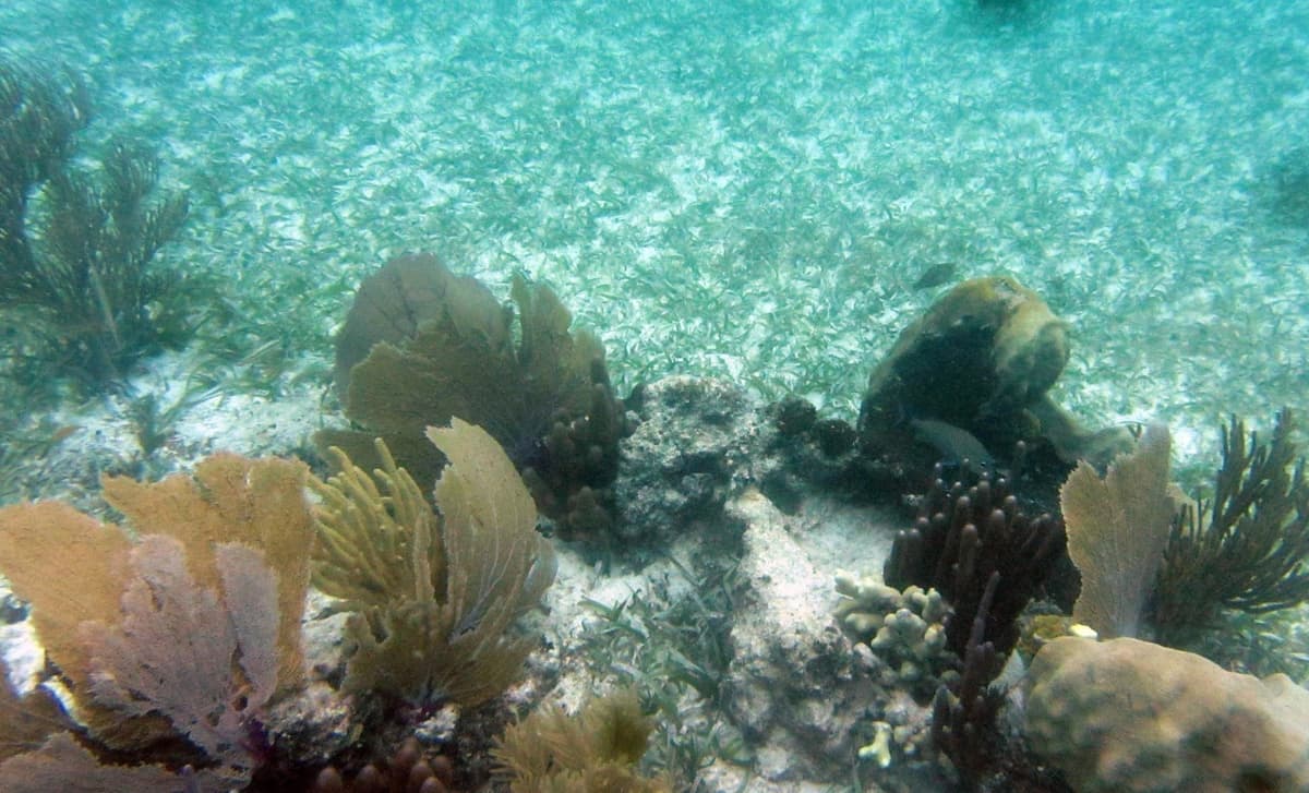
Playa del CarmenContinúa bajo análisis el proyecto para colocar arrecifes artificiales en Playa del Carmen
·3 min
31 notas
Playa del Carmen
Medio Ambiente
Playa del Carmen
Más Noticias
Ecología
Medio Ambiente
México
Cozumel
Puerto Morelos
Economía
Temporada de Huracanes
Ecología
Cozumel
Ecología
Ecología
México
Ecología
Ecología
Quintana Roo
Ecología